When Norrie Ave ratepayers approached Raglan 23 they said they were surprised that their rates were being spent on widening the road. When we told them that the road wasn’t being widened but slimmed down they were even more surprised. We said we’d find out the reasons for the project from the Waikato Council.
Back in October 2o14 we reported on the $180,000 Norrie Ave project which the Council described then as an urban upgrade.
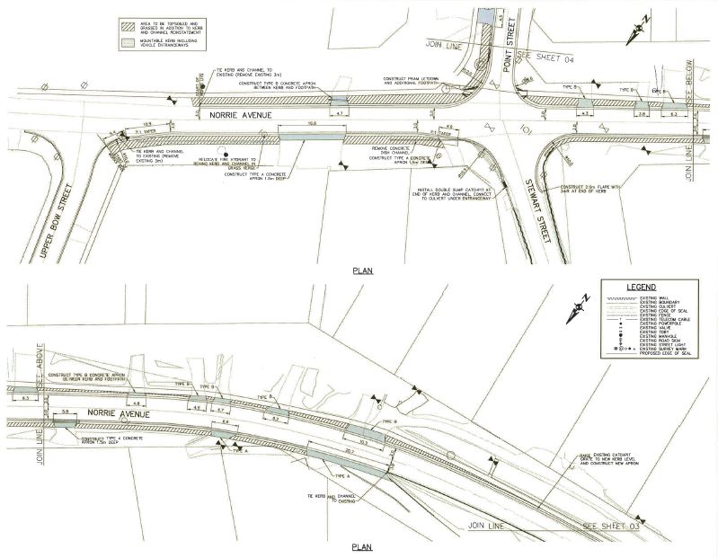
They now say it is, “essentially kerb and channel works to connect the existing lengths of kerb and channel together to provide drainage and resolve longstanding problems associated with road runoff onto adjacent properties.”
As far as parking is concerned the Council say they haven’t allowed for this as there are no shops along Norrie Avenue. So it seems that anybody visiting residents will have to follow the common standard Raglan practice of two wheels on the footpath and two wheels on the road, coupled with a hope that the parking warden won’t visit.
We put this query to the Council:
Council’s contractor has moved onto the Norrie Ave urban upgrade project now that the James St seaside town roading upgrade project is close to completion.
The James St project was well thought out and suits the town and its needs.
Looking at the Norrie Ave plans that you gave me earlier and looking at the work in progress there appears to be no provision for parking or for cyclists in the design.
As many pupils ride to school along this road, what provision has been made in the design for this?
When Wallis St was slimmed down for traffic calming a few years ago, several parking bays were incorporated in the design.
I can see that the Norrie Avenue design is also design to slow traffic. What provision has been made in the Norrie Avenue design for car parking when people visit residents?
The Norrie Avenue work – Image WDC. Click on image for larger view
Tim Harty, General Manager Service Delivery advises:
The Norrie Avenue project is essentially kerb and channel works to connect the existing lengths of kerb and channel together to provide drainage and resolve longstanding problems associated with road runoff onto adjacent properties.
Most roads are designed to be lower than the surrounding properties, providing a drainage path for stormwater from surrounding properties, as well as a road network. However Norrie Avenue was formed on ridgeline, which can focus road runoff into driveways causing scouring or flooding issues during storms. The kerb and channel works are intended to minimise this risk.
In addition, being on a ridgeline makes Norrie Avenue a difficult road to widen, as adding width means entranceways get steeper and can increase the incidence of cars bottoming out over the kerb. To retain most of the existing infrastructure such as the footpaths, power and lighting poles, and to minimise steeping driveways, it is useful to keep the carriageway width as close as possible to the existing width.
With no shops or commercial area concentrating parking demand, car parking was not included in the design. This is also positive for cyclist safety as the constrained road width discourages parking, so no risk of car doors opening into the path of cyclists, while still providing plenty of width for vehicles and cyclists.
2 thoughts on “Norrie Ave ratepayers surprised by roadworks”
At its last meeting RCB allowed WDC to dismiss evidence (see http://transportblog.co.nz/2014/11/06/removing-centrelines/) that lack of a centre-line would reduce speeds and cut costs. WDC just said the traffic levels are different. They are, but the principle is the same and WDC put forward no reason why the safety concerns of Norrie Ave couldn’t be reduced by saving the cost of painting a new centre-line.
This seems to have all the makings of a classic WDC case of ‘getting it right the second time’ at great expense to ratepayers. They took note of input from locals on James St, but rejected it for Norrie Ave. Quirky.
At its last meeting RCB allowed WDC to dismiss evidence (see http://transportblog.co.nz/2014/11/06/removing-centrelines/) that lack of a centre-line would reduce speeds and cut costs. WDC just said the traffic levels are different. They are, but the principle is the same and WDC put forward no reason why the safety concerns of Norrie Ave couldn’t be reduced by saving the cost of painting a new centre-line.
This seems to have all the makings of a classic WDC case of ‘getting it right the second time’ at great expense to ratepayers. They took note of input from locals on James St, but rejected it for Norrie Ave. Quirky.